Ontwerp winkelpanden Siloterrein S3 Winterswijk
Projectinformatie
Ontwerp Siloterrein S3 Winterswijk
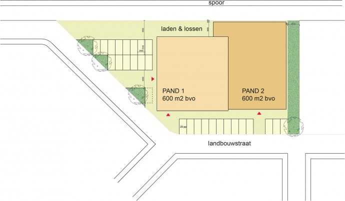
In opdracht van Kienhuis Bouwmanagement heeft Borgerink Architecten een ontwerp gemaakt voor 2 winkelpanden op het Siloterrein S3 in Winterswijk als verkoopbeelden. Als conceptgedachte zijn details uit het verleden als uitgangspunt genomen.
Opdrachtgever: Kienhuis Bouwmanagement
Skills: Utiliteitsbouw





